一、【汉方结合光动力技术】3-15天除痘印
适用于:痘印人群
中医御方倒膜技术是利用活血化瘀、增强局部微循环、加速组织修复的中药倒膜,结合皮肤光动力技术,将药效快速渗透到表皮及真皮层,瓦解色素沉着,随着局部微循环的加快,色素随着人体进入循环组织,经过皮肤修复,痘印部分表皮恢复健康肌肤。

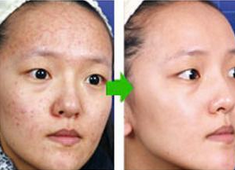
2015年11月5日,黄珊(化名)在华医堂我们使用御方除痘印,仅用16天,治疗三次
本图经黄珊同意拍摄,未经允许,严禁转载,违者必究
汉方结合光动力技术的优势
1、见效快。深入修复肌肤,3天即可看到效果,15天恢复健康肌肤;
2、治疗简便。无痛苦、随治随走,不耽误工作学习;
3、美化肌肤。深入改善肤质,增强皮肤微循环,美化肌肤;
4、疗程短、费用低。疗程短,相比其他技术节省30%左右费用。
相比痘印而言,很多痘友面部会留有痘疤痘痕以及痘坑,华医堂皮肤病专科在治疗中利用目前当地以及地方除疤除痘坑有效的激光医学设备--新型飞梭镭射技术结合汉方修复,治疗良好,达到了完美的“换肤”效果。深受广大痘友的青睐。
二、【汉方结合飞梭镭射,扫光痘坑】
适用于:痘坑、痘疤人群
治疗原理
1、飞梭激光启用矩阵排列的能量光束,作用于痘疤、痘痕、痘坑部位,促进皮肤产生热效应,启动损伤修复机制;
2、密集的能量促进痘疤痘坑部位真皮合成胶原及弹力纤维,肌肤再生重塑;
3、皮肤组织微循环加快,持续进行美化肌肤,痘坑痘疤短期消失。

2015年10月7日,长有痘印、痘疤、痘坑的林先生,利用飞梭镭射及御方倒膜,17天恢复完美肌肤
本图经林先生同意拍摄,未经允许,严禁转载,违者必究

2015年10月23日,陈静(化名)除痘印痘痕痘坑效果。
本图经陈静同意拍摄,未经允许,严禁转载,违者必究
汉方结合飞梭镭射的优势
疗程短、费用低。当天见效,相比其他技术节省30%左右费用。
完全无痛。与传统激光相比,飞梭技术无痛苦、不损伤肌肤
美化肌肤。汉方倒膜技术,修复更快,并深入改善肤质,美化肌肤;
华医堂皮肤病专科是华东中西结合治疗皮肤病前列品牌,主打中西结合治疗皮肤病。作为省青少年皮肤病诊疗中心,华医堂我们在去除痘印、痘坑方面积累了非常丰富的经验,至今已有上千例痘友在我成功去除痘印、痘坑。如果您还有疑问,请点击咨询或拨打热线:0513-85545555了解,华医堂皮肤病专科祝您健康!
就诊需知:
1、我就诊患者较多,请提前网上预约挂号,网络预约优先就诊【点此预约】
2、接诊时间:早8点—晚17:30点(节假日不休)






